BÁO SÀI GÒN GIẢI PHÓNG
中文
SGGP Đầu tư Tài chính
SGGP Thể Thao
English Edition
SGGP Epaper
Từ khóa:
#Yamanashi
có
2
kết quả
Nét hấp dẫn của Oita, Yamanashi và Fukushima
Đối ngoại
01/02/2021 09:14
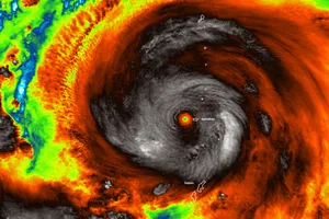
Nhật Bản “nín thở” trước siêu bão Hagibis sẽ đổ bộ cấp mạnh nhất
Thế giới
12/10/2019 17:03
Xem thêm
Trang chủ
Chính trị
Xây dựng Đảng
Bảo vệ nền tảng tư tưởng của Đảng
Nhân sự
Cải cách hành chính
Quốc phòng – an ninh
Đối ngoại
Xã hội
Sự kiện & Bình luận
Sắp xếp các đơn vị hành chính cấp tỉnh
Đô thị
Giao thông
Tuổi trẻ cuộc sống
Bút Sài Gòn
Tin buồn
Môi trường
Pháp luật
An ninh - trật tự
Câu chuyện Pháp luật
Kinh tế
Thị trường
Địa ốc
Tài chính- Chứng khoán
Du lịch
Đầu tư
Doanh nghiệp - Doanh nhân
Chuyển động kinh tế & Đời sống 24H
Đa phương tiện
Thế giới
Tiêu điểm
Chính trường thế giới
Hồ sơ - tư liệu
Chuyện đó đây
Giáo dục
Hướng nghiệp - tuyển sinh
Giáo dục hội nhập
Y tế - Sức khỏe
An toàn thực phẩm
Sức khỏe cộng đồng
Alo bác sĩ
Văn hóa - Giải trí
Nhịp sống
Nhân vật
Phim
Sách
Nhịp cầu bạn đọc
Ý kiến bạn đọc
Diễn đàn - Thảo luận
Cơ quan trả lời
Khoa học công nghệ
Theo dõi SGGP trên:
中文版
SGGP Đầu tư Tài chính
SGGP Thể Thao
English Edition
SGGP Epaper