Nhật Bản “nín thở” trước siêu bão Hagibis sẽ đổ bộ cấp mạnh nhất

Chiều 12-10, Cơ quan Khí tượng Nhật Bản (JMA) đã đưa ra cảnh báo 5 - mức cao nhất trong thang cảnh báo thiên tai 5 cấp độ của nước này, sau khi ghi nhận lượng mưa kỷ lục trong cơn bão số 19, có tên gọi quốc tế là Hagibis. Đây là mức cảnh báo chưa từng có tại Nhật Bản trong hàng chục năm qua.
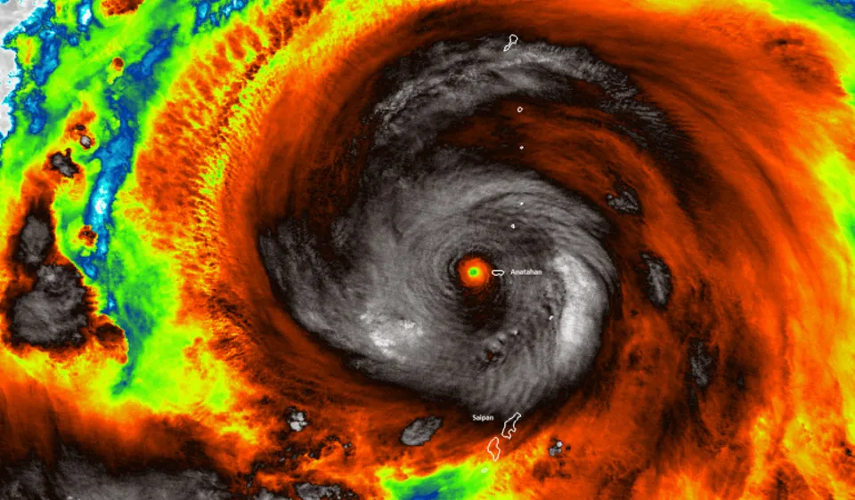
 Cơ quan Khí tượng Nhật Bản dự báo siêu bão Hagibis sẽ đổ bộ cấp mạnh nhất. Ảnh: NASA
Cơ quan Khí tượng Nhật Bản dự báo siêu bão Hagibis sẽ đổ bộ cấp mạnh nhất. Ảnh: NASA

Các khu vực nằm trong danh sách cảnh báo này là: Shizuoka, Kanagawa, Tokyo, Saitama, Gunma, Yamanashi, Nagano.

Hiện siêu bão Hagibis tiếp tục tiến gần hơn và sẽ đổ bộ vào đất liền Nhật Bản trong đêm nay với cường độ dữ dội.
Nhật Bản “nín thở” trước siêu bão Hagibis sẽ đổ bộ cấp mạnh nhất ảnh 1 Cơ quan Khí tượng Nhật Bản đưa ra cảnh báo 5 - mức cao nhất trong thang cảnh báo thiên tai 5 cấp độ của nước này.
Cơ quan Khí tượng Nhật Bản kêu gọi những người sinh sống trong các khu vực này, đặc biệt là các địa phương gần sông, biển và núi, cần có các biện pháp khẩn cấp để bảo vệ tính mạng của mình. Trong trường hợp đang di chuyển đến các điểm lánh nạn mà gặp phải tình trạng nguy hiểm thì phải nhanh chóng tìm cách trú ẩn tại các ngôi nhà cao, có nền vững chắc gần đó.

Do ảnh hưởng của siêu bão Hagibis, trên khắp các vùng Kanto Koshin và Tokai đã ghi nhận lượng mưa kỷ lục và có thể lên mức 1.000 mm.

Theo số liệu của Cơ quan Khí tượng Nhật Bản, lượng mưa đo được tại tỉnh Kanagawa đến thời điểm 15 giờ 48 ngày 12-10 đạt 700 mm, tại Shizuoka là hơn 600 mm.

Nhật Bản “nín thở” trước siêu bão Hagibis sẽ đổ bộ cấp mạnh nhất ảnh 2 Bầu trời ở phía Đông Nhật Bản chuyển thành màu tím trước khi siêu bão Hagibis đổ bộ vào đất liền. Hình ảnh được người dân tại Nhật Bản chụp đưa lên Twitter
Nhật Bản “nín thở” trước siêu bão Hagibis sẽ đổ bộ cấp mạnh nhất ảnh 3
Hiện bão Hagibis đang di chuyển theo hướng Bắc-Tây Bắc với tốc độ 30km/giờ, cách các tỉnh Shimoda và Shizuoka khoảng 130km về phía Nam - Tây Nam. Hagibis được dự báo sẽ trút lượng mưa lớn nhất kể từ năm 1958. 

Mưa bão cũng tạo ra những cơn sóng lớn trên biển, theo dự báo sẽ có những đợt sóng cao 13m tại khu vực Kanto, cao 11m ở Tohoku, cao 10m tại Kinki và Shigoku.

Cùng với đó, cơ quan khí tượng cũng kêu gọi người dân hết sức chú ý tới tình trạng sạt lở đất, ngập lụt, gió mạnh và lốc xoáy.

Tin cùng chuyên mục