Siêu bão Irma phá hủy gần như hoàn toàn nhiều hòn đảo ở Caribbean

Rạng sáng 6-9, cơn bão được đánh giá là mạnh nhất ở Đại Tây Dương trong 100 năm qua có tên Irma đã đổ bộ vào các đảo ở khu vực Đông Bắc vùng biển Caribbean.
>> Video siêu bão Irma tàn phá biển Maho, đảo Saint Martin, vùng Caribbean:
>> Bản tin của siêu bão Irma của đài CNN:
Bão Irma cũng đang hướng đến vùng lãnh thổ Puerto Rico, CH Dominicana, Haiti và Cuba trước khi tiến về bang Florida vào cuối tuần này.
Siêu bão Irma phá hủy gần như hoàn toàn nhiều hòn đảo ở Caribbean ảnh 1 Đường đi của bão Irma. Nguồn: CNN
Cơ quan Thời tiết quốc gia cho biết vào lúc 1 giờ 47 (giờ địa phương), tâm bão Irma đã đi qua đảo Barbuda. Cơn bão đã thổi bay mái nhà trụ sở cảnh sát trên đảo, buộc các nhân viên an ninh phải tạm trú trong trạm cứu hỏa và trung tâm cộng đồng lân cận.
Cơn bão mạnh cấp 5 này còn cắt đứt thông tin giữa các đảo. Văn phòng Thảm họa quốc gia xác nhận một số ngôi nhà đã bị hư hại song chưa thể đánh giá hết mức độ thiệt hại do bão gây ra.
Để tránh báo, người dân sống ở khu vực thấp đã di chuyển đến vùng đất cao hơn, hoặc trú trong các nhà thờ, trường học, các trụ sở cộng đồng được thiết kế chống bão.
Đa số người dân trên vùng lãnh thổ Antigua và Barbuda đang phải sống trong cảnh mất điện. Khoảng 1.000 người đã sơ tán đến các khu vực tạm trú tại Antigua.
Siêu bão Irma phá hủy gần như hoàn toàn nhiều hòn đảo ở Caribbean ảnh 2 Những cây dừa bên bờ biển trong siêu bão Irma ở Fajardo, Puerto Rico ngày 6-9-2017. Ảnh: REUTERS
Theo thông báo mới nhất sáng 7-9 (theo giờ Việt Nam), người đứng đầu vùng lãnh thổ hải ngoại thuộc Pháp Guadeloupe Eric Maire  cho biết đã có ít nhất 6 người đã thiệt mạng tại khu vực đảo St Martin thuộc Pháp tại vùng biển Caribbean sau khi bão Irma tràn vào và phá hủy 95% hòn đảo này. Đồng thời nhấn mạnh đây chưa phải con số thương vong cuối cùng.
Siêu bão Irma phá hủy gần như hoàn toàn nhiều hòn đảo ở Caribbean ảnh 3 Một thành viên của Ủy ban hoạt động khẩn cấp (COE) đang theo dõi thông tin cơn siêu bão Irma qua màn hình tại 
St Martin nằm ở phía Nam đảo Anguilla, bị phân chia giữa Hà Lan và Pháp. Đảo St Barts nằm ở Đông Nam đảo St Martin, do Pháp quản lý.
Tình hình tại St Martin và St Barts là vô cùng nghiêm trọng do bão Irma đã tàn phá nghiêm trọng hệ thống cơ sở hạ tầng, gây mất điện và nước trên diện rộng. Ước tính khoảng 60%-70% các ngôi nhà đã bị phá hủy tại St Martin.
Siêu bão Irma phá hủy gần như hoàn toàn nhiều hòn đảo ở Caribbean ảnh 4 Đường phố bị ngập nước tại đảo St Martin
Bộ trưởng Các vùng lãnh thổ hải ngoại của Pháp Annick Girardin đã bay đến Guadeloupe trong tối 6-9 với lực lượng cứu hộ và hàng cứu trợ để đánh giá tình hình.
Siêu bão Irma phá hủy gần như hoàn toàn nhiều hòn đảo ở Caribbean ảnh 5 Cây cối đổ ngã xuống đường khi siêu bão Irma đi qua Fajardo, Puerto Rico ngày 6-9-2017. Ảnh: REUTERS
Cùng ngày, Thủ tướng Antigua và Barbuda Gaston Browne đã miêu tả hòn đảo Barbuda là gần như không thể sinh sống được sau khi siêu bão cấp 5 Irma đổ bộ vào rạng sáng ngày 6-9.
Ông nhận định việc tái thiết lại khu vực sẽ mất nhiều năm, đồng thời xác nhận cơn bão này đã khiến 1 người dân đảo thiệt mạng. Ước tính 95% cơ sở hạ tầng tại Barbuda đã bị hư hại, trong đó 30% đã bị phá hủy hoàn toàn. Cơn bão đã quật đổ các tháp viễn thông, gây thiệt hại lên tới 150 triệu USD.
Siêu bão Irma phá hủy gần như hoàn toàn nhiều hòn đảo ở Caribbean ảnh 6 Những người lính cứu hộ chạy trong gió bão ở Fajardo, Puerto Rico ngày 6-9-2017. Ảnh: REUTERS
* Trong khi đó, bắt đầu từ 10 giờ sáng ngày 6-9 (giờ địa phương), giới chức Cuba đã đặt các tỉnh miền Đông và miền Trung nước này trong tình trạng báo động để chuẩn bị ứng phó với siêu bão Irma, cơn báo được cho là lớn nhất từ trước tới nay tại Đại Tây Dương và dự kiến sẽ đổ bộ vào các đảo ở Caribbean này trong vòng 2-3 ngày tới. 
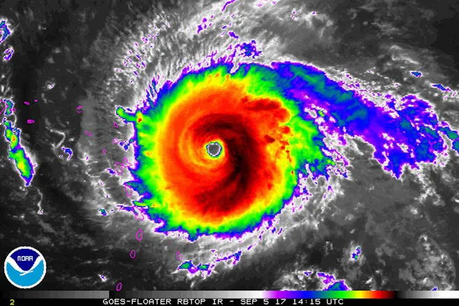
Theo Trung tâm Dự báo Khí tượng Cuba, Irma là cơn bão cấp 5, cấp cao nhất trong thang Saffir-Simpson. Cơn bão này có sức gió lên tới 295km/giờ, sức giật trên 400km/giờ và di chuyển với tốc độ 26km/giờ.
Siêu bão Irma phá hủy gần như hoàn toàn nhiều hòn đảo ở Caribbean ảnh 7 Hình ảnh bão Irma được chụp từ vệ tinh. Ảnh: Reuters
Dựa trên hướng đi hiện tại của Irma, cơn bão này nhiều khả năng sẽ tác động tới các đảo phía Bắc thuộc quần đảo Tiểu Antilles, miền Đông và miền Trung Cuba cũng như bang Florida của Mỹ. 
Nhà chức trách Cuba yêu cầu các cơ quan và tổ chức nhà nước tại những tỉnh nằm trong vùng báo động phải tăng cường công tác cảnh báo khí tượng thủy văn, đánh giá những công trình và các điểm xung yếu có thể chịu thiệt hại do bão, đồng thời yêu cầu dân chúng sẵn sàng di tản theo hướng dẫn của cơ quan chức năng. 
Cuba là nước được đánh giá cao về công tác phòng chống bão với thiệt hại thường rất thấp về người, tuy nhiên, những cơn bão lớn liên tục trong nhiều năm qua đã gây thiệt hại không nhỏ cho nền kinh tế nước này. 
Hồi tháng 10 năm ngoái, siêu bão Matthew mặc dù không gây ra thiệt hại về người nhưng đã khiến nhiều tỉnh miền Đông nước này chịu thiệt hại lớn về nhà cửa và cơ sở hạ tầng. 
* Trước sức tàn phá kinh khủng của bão Irma, Quỹ Nhi đồng Liên Hợp Quốc (UNICEF) ngày 6-9 cho biết đã phối hợp với các nhà chức trách quốc gia để tạo điều kiện giúp đỡ những trẻ em và gia đình có khả năng sẽ chịu ảnh hưởng bởi cơn bão tại vùng Caribbean. 
 Trong tuyên bố đưa ra, UNICEF cho biết mối quan tâm chính của tổ chức này là đảm bảo việc cung cấp nước uống và thực phẩm, cũng như y tế và bảo vệ trẻ nhỏ tại các khu vực dễ tổn thương nhất. Do đó, tại các khu vực chiến lược của các nước thuộc vùng Caribe, UNICEF sẽ phối hợp với chính quyền địa phương để phân phối các nhu yếu phẩm trong các trường hợp khẩn cấp. 
Giám đốc khu vực của UNICEF Marita Perceval cho biết, mặc dù rất khó để dự đoán mức độ ảnh hưởng mà cơn bão Irma có thể gây ra, nhưng các công tác chuẩn bị tốt là rất cần thiết để có thể giám sát và bảo vệ trẻ em, là những đối tượng dễ bị tổn thương nhất.  
Tới nay, Irma là cơn bão được đánh giá là mạnh nhất ở Đại Tây Dương trong 100 năm qua.
Siêu bão Irma phá hủy gần như hoàn toàn nhiều hòn đảo ở Caribbean ảnh 8 Siêu bão Irma. Ảnh chụp qua vệ tinh của NOAA
Theo Trung tâm Bão quốc gia Mỹ, sức gió mạnh nhất của cơn bão này lên tới 295km/giờ. Bão dự kiến sẽ di chuyển theo hướng Tây, quét qua các khu vực đông dân cư ở phía Bắc vùng lãnh thổ Puerto Rico, CH Dominicana, Haiti và Cuba.

Tin cùng chuyên mục