Siêu bão đổ bộ Nhật Bản: Hàng triệu người phải sơ tán

Hàng trăm ngàn người dân sống tại khu vực Kyushu, miền Nam Nhật Bản được khuyến cáo tìm nơi trú ẩn an toàn do bão Haishen kèm theo gió và mưa lớn đang đổ bộ vào.
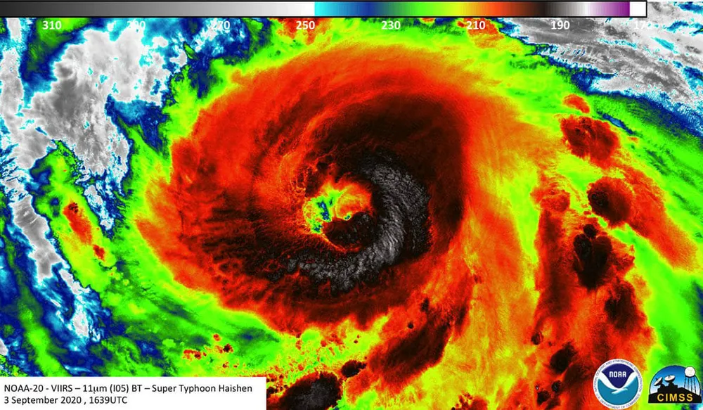
Haishen là cơn bão mạnh thứ 2 đổ bộ vào Nhật Bản trong một tuần. Ảnh: Severe Weather
Haishen là cơn bão mạnh thứ 2 đổ bộ vào Nhật Bản trong một tuần. Ảnh: Severe Weather

Trong đó, toàn bộ 250.000 người dân sống tại thành phố cảng Kagoshima và 36.600 người sống tại thành phố Goto thuộc Nagasaki buộc phải đi sơ tán vì đây là khu vực bão đổ bộ trực tiếp. Theo Cơ quan Khí tượng Nhật Bản, sau khi đổ bộ vào miền Nam nước này ngày 6-9, bão Haishen có sức gió 150 km/giờ và giật lên tới 252km/giờ.  

Công ty đường sắt Kyushu đã thông báo ngừng toàn bộ dịch vụ tàu cao tốc và bình thường trong ngày 6-9, trong khi Tổng Công ty Đường sắt miền Tây của Nhật Bản quyết định hủy toàn bộ các dịch vụ tàu cao tốc giữa các nhà ga ở Hiroshima và Hakata vào ngày 7-9. Theo đài NHK, bão Haishen cũng đã buộc gần 550 chuyến bay phải hủy chuyến.

Tính đến chiều tối 6-9, các cơ quan chức năng Nhật Bản đã ra lệnh sơ tán lập tức hơn 810.000 cư dân ở các khu vực thuộc 4 tỉnh Tây Nam: Nagasaki, Kumamoto, Miyazaki và Kagoshima; đồng thời ra khuyến cáo nhanh chóng sơ tán hơn 5,5 triệu người ở 10 tỉnh, kêu gọi những người khác duy trì cảnh giác ở mức cao nhất và nhanh chóng sơ tán khi nhận được khuyến cáo.

Theo Cơ quan Khí tượng Nhật Bản (JMA), vào lúc 17 giờ cùng ngày, siêu bão Haishen đang ở cách đảo Yakushima ngoài khơi Thái Bình Dương 70km về phía Tây-Tây Nam. Bão Haishen đang di chuyển về phía Bắc với tốc độ 35km/giờ. Áp lực khí quyển ở tâm bão vào khoảng 945 hectopascal. Tốc độ gió cao nhất ở khu vực gần tâm bão là 162 km/giờ gây mưa lớn diện rộng, gió mạnh chưa từng có, thủy triều dâng cao và sóng lớn. Mưa lớn không chỉ xảy ra ở những khu vực siêu bão đổ bộ mà có thể còn ở nhiều khu vực khác của Nhật Bản, bao gồm cả những khu vực nằm xa cơn bão.

Tin cùng chuyên mục