
Ngày 12-9, Ban chỉ đạo Trung ương về phòng chống thiên tai đã triển khai các công việc khẩn cấp ứng phó với nguy cơ lũ quét, sạt lở đất do mưa lớn của bão số 5 (Barijat) gây ra và ngay sau đó là “siêu bão” Mangkhut (Măng cụt) đang di chuyển nhanh vào biển Đông. “Bão chồng bão” là cụm từ được nhiều thành viên của ban chỉ đạo nhắc tới tại cuộc họp.
Ông Hoàng Đức Cường, Giám đốc Trung tâm Dự báo khí tượng - thủy văn quốc gia, cho biết bão số 5 cường độ không lớn, chiều và đêm 13-9 sẽ ảnh hưởng đến đất liền nước ta, tuy nhiên trước khi vào bờ sẽ suy yếu thành áp thấp nhiệt đới.
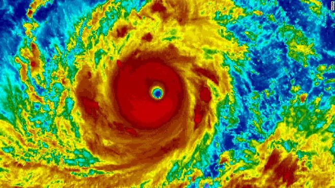
Đáng lo hơn là siêu bão Mangkhut đạt tới cấp 17, sức gió hơn 200km/giờ cũng đang hướng vào biển Đông. Nhiều khả năng bão sẽ đi vào Lôi Châu - Hồng Công, nam Ma Cao (Trung Quốc). Đây là cơn bão có sức tàn phá dữ dội. Sau khi đổ bộ đất liền Trung Quốc sẽ giảm cấp thành cơn bão nhỏ hơn, nhưng vẫn di chuyển dọc bờ biển Trung Quốc hướng vào biên giới Việt - Trung.
Trong khi đó, vào chiều 12-9, các mô hình dự báo bão của châu Âu đã thay đổi cập nhật số liệu, cho rằng cơn bão “khủng” này sẽ đi lệch xuống phía nam so với dự báo trước đó, đổ bộ thẳng vào đồng bằng Bắc bộ. Theo ông Hoàng Đức Cường, hoàn lưu của bão Mangkhut rất lớn, vào bờ cũng không suy yếu nhanh như cơn bão số 5.
Do nhận định bão số 5 và bão Mangkhut sẽ gây mưa lớn ở miền Bắc nên ngày 12-9, Ban chỉ đạo Trung ương về phòng chống thiên tai đã ra công điện hỏa tốc yêu cầu Công ty Thủy điện Hòa Bình mở 1 cửa xả đáy vào 13 giờ cùng ngày khi mực nước ở hồ Hòa Bình ở cao trình 116,97m (dưới mức nước bình thường 3cm) và lưu lượng lũ đến hồ đạt 3.601m3/giây. Ngoài ra, ban chỉ đạo cũng ra công văn hỏa tốc gửi các tỉnh, thành phố ở hạ lưu thủy điện Hòa Bình yêu cầu sẵn sàng phương án đảm bảo an toàn khi hồ chứa xả lũ.
Ông Nguyễn Trường Sơn, Phó Tổng cục trưởng Tổng cục Phòng chống thiên tai cho biết, thời tiết sắp tới diễn biến phức tạp, nhiều nguy hiểm. Trong thời gian qua, ảnh hưởng của bão không lớn nhưng cứ mưa sau bão là gây chết người. Nếu bão ảnh hưởng tới tỉnh Thanh Hóa thì “rất nan giải vì ở đây đã bị tổn thương nặng nề”.
Theo cập nhật dự báo của Trung tâm Dự báo khí tượng - thủy văn quốc gia về tình hình lũ tại ĐBSCL, trong khoảng 3 - 4 ngày tới, nước lũ ở ĐBSCL sẽ tiếp tục lên. Tuy nhiên, khoảng ngày 20-9 sẽ giảm vì lưu lượng lũ ở thượng nguồn sông Mê Kông chảy qua các nước Thái Lan, Lào và Campuchia đang giảm. Từ ngày 25-9, lũ trên các sông thuộc hệ thống sông Cửu Long sẽ lên trở lại.
Cụ thể, đến ngày 20-9, mực nước cao nhất ngày tại Tân Châu giảm còn 4m; tại Châu Đốc giảm còn 3,6m. Tuy nhiên đến ngày 25-9, mực nước cao nhất ngày tại Tân Châu sẽ lên lại mức 4,2m; tại Châu Đốc ở mức 3,8m. Các vùng trũng thấp ở đồng bằng sông Cửu Long, đặc biệt là các tỉnh Kiên Giang, An Giang, Đồng Tháp, Long An sẽ tiếp tục đối mặt nguy cơ cao về ngập lụt, mất an toàn đê bao.
Trung tâm Dự báo khí tượng - thủy văn quốc gia cảnh báo, tình hình thủy văn trên sông Mê Kông diễn biến phức tạp, cần chủ động đề phòng lũ có khả năng lên cao, đặc biệt khi xảy ra các hình thế thời tiết bất lợi trên lưu vực.