Siêu bão cấp 5 Dorian đổ bộ Bahamas

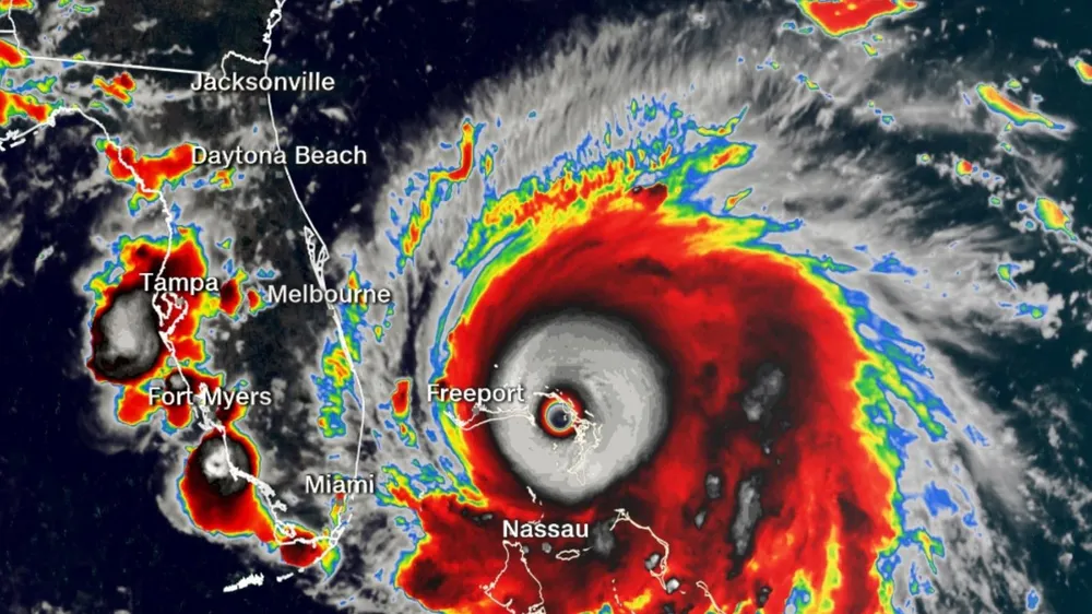
Ngày 1-9 (giờ địa phương), siêu bão Dorian đã đổ bộ vào khu vực miền Bắc đảo quốc Bahamas, với tốc độ gió lên đến 295km/ giờ và sức giật là 340km/ giờ. Trở thành siêu bão mạnh nhất từng được ghi nhận trong lịch sử hiện đại ở khu vực này.
>> Siêu bão Dorian mạnh cấp 5 đổ bộ Bahamas. Nguồn: The Guardian

Theo Trung tâm Bão Quốc gia Mỹ (NHC), bão Dorian đã đổ bộ 2 lần vào quần đảo Abaco của Bahamas, và được xếp ở mức cao nhất, cấp 5 trong thang bão gồm 5 cấp.

Siêu bão cấp 5 Dorian đổ bộ Bahamas ảnh 1 Siêu bão Dorian đã đổ bộ vào khu vực miền Bắc đảo quốc Bahamas
Truyền thông Bahamas cho hay, phát biểu trong cuộc họp, Thủ tướng Hubert Minnis đã bật khóc, khẳng định 1-9 "gần như chắc chắn là ngày buồn và tồi tệ nhất trong đời ông", khi đảo quốc nhỏ bé trên Đại Tây Dương này phải đối mặt với trận siêu bão mạnh chưa từng thấy trong lịch sử Bahamas.

Hiện có tin cho hay quần đảo Abaco đã chìm trong nước, trong khi khách sạn Island Breezes tại Marsh Harbour, trung tâm thương mại của Abaco, đã bị gió tốc bay phần mái khiến nhiều người phải kêu cứu. Nguồn điện trên đảo cũng đã bị cắt. 

Siêu bão cấp 5 Dorian đổ bộ Bahamas ảnh 2 Siêu bão Dorian đã đổ bộ vào khu vực miền Bắc đảo quốc Bahamas, với tốc độ gió lên đến 295km/ giờ và sức giật là 340km/ giờ. Trở thành siêu bão mạnh nhất từng được ghi nhận trong lịch sử hiện đại ở khu vực này
Cũng theo NHC, bão đang di chuyển theo hướng Bắc và dự kiến sẽ đổ bộ vào quần đảo Grand Bahama trong đêm ngày 1-9 (theo giờ địa phương).

Cơ quan này cũng cảnh báo trong hơn 30 giờ tới, siêu bão Dorian sẽ càn quét quần đảo Bahamas, gây mưa dai dẳng với lượng mưa lên tới 610mm, sóng cao tới 7m cũng như gió lớn. 

Quần đảo Grand Bahama chỉ cách khu vực Palm Beach thuộc bang Florida của Mỹ khoảng 84km.

Siêu bão cấp 5 Dorian đổ bộ Bahamas ảnh 3 Đường đi của siêu bão Dorian
Từ Washington, Tổng thống Mỹ Donald Trump cùng ngày đã có cuộc gặp với lãnh đạo cơ quan ứng phó tình trạng khẩn cấp liên bang và tuyên bố tình hình hiện nay rất nguy hiểm. Ông cảnh báo siêu bão Dorian nhiều khả năng sẽ tác động đến vùng duyên hải bờ Đông nước Mỹ, từ bang Florida đến Bắc Carolina, trong đó một số nơi sẽ "rất, rất nghiêm trọng". Bản thân ông cũng đã hủy chuyến thăm tới Vacsava, Ba Lan, đã tập trung vào công tác chuẩn bị ứng phó bão.

Hiện Tổng thống Trump đã tuyên bố tình trạng khẩn cấp cấp bang tại Florida. Cơ quan ứng phó tình trạng khẩn cấp liên bang Mỹ cũng đang chuyển thực phẩm, nước sạch và máy phát điện đến khu vực miền Đông Nam nước này. Lực lượng vệ binh quốc gia bang Florida cho hay đã huy động khoảng 2.000 nhân viên, trong khi đặt 2.000 người khác trong tình trạng sẵn sàng hỗ trợ ứng phó bão.

Nhà chức trách một số nơi thuộc bang Florida cũng ban bố lệnh sơ tán bắt buộc, đặc biệt với những người sống trong nhà di động, trên các đảo chắn hoặc ở vùng đất thấp. Các bang gần đó như South Carolina, North Carolina và Georgia cũng tuyên bố tình trạng khẩn cấp cấp bang tại một phần hoặc toàn bộ bang.

Siêu bão cấp 5 Dorian đổ bộ Bahamas ảnh 4 Hai người đàn ông đang gia cố cửa tại một cửa hàng tại ãi biển Riviera, Florida, Mỹ trước khi bão Dorian đổ bộ. Ảnh: Getty Images
Lực lượng cảnh sát biển Mỹ đã kêu gọi các tàu thuyền thương mại lớn nhanh chóng có kế hoạch rời các cảng ở phía Nam Florida di chuyển tới Savannah thuộc bang Georgia, đồng thời khuyến cáo các tàu du lịch nhanh chóng tìm nơi neo đậu an toàn. Dự kiến sân bay quốc tế Orlando cũng sẽ tạm dừng các chuyến bay thương mại trong ngày 2-9, trong khi Trung tâm vũ trụ Kennedy của NASA thông báo đang di dời một bệ phóng tên lửa lớn để tránh bão.

Tin cùng chuyên mục