
Theo Reuters, rạng sáng 24-10 (theo giờ Việt Nam), Patricia - cơn bão mạnh nhất từ trước tới nay tại Tây Bán cầu đã đổ bộ vào bang miền Tây Jalisco, khu vực thị trấn Emiliano Zapata, Mexico gây lũ lụt và lở đất tại nhiều nơi.

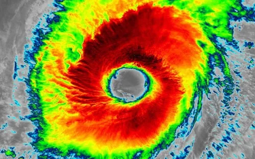
Ảnh chụp mắt bão Patricia đổ bộ vào Mexico. (Ảnh: NASA)
Trung tâm Cảnh báo bão quốc gia Mỹ cho biết, vào thời điểm đổ bộ, sức gió của bão Patricia là 270 km/h, giảm một chút so với tốc độ 325 km/h ghi nhận trước đó vài giờ. Sức gió này thậm chí mạnh hơn trận siêu bão Haiyan năm 2013 với sức gió 315 km/h đổ bộ vào Philippines, khiến hơn 7.350 người thiệt mạng, mất tích.
Giới chức Mexico cho biết, đã nhận được báo cáo về tình trạng lụt và nhiều vụ lở đất ở một số nơi. Ngoài khơi các bang Jalisco, Colima và Michoacan, sóng cao tới 8m. Tuy nhiên, khu vực bão đổ bộ hầu như không có cư dân sinh sống, do đó dự báo thiệt hại về người và của không nghiêm trọng. Trong khi cảng biển Manzanillo, nơi được cảnh báo có nguy cơ chịu ảnh hưởng nặng nề nhất, lại nằm ngoài tầm ảnh hưởng của bão.
Dự báo bão Patricia sẽ tiếp tục di chuyển về khu vực đồi núi nơi có nhiều thôn làng sống biệt lập, tiềm ẩn nhiều nguy cơ gây ra lở bùn và lũ quét khi lượng mưa lên tới 51cm ở khắp 5 bang miền Tây Mexico trong vòng 48 giờ tới. Giới chức địa phương cảnh báo bão Patricia có khả năng quét qua Mexico, đi vào Vịnh Mexico sau đó hướng tới Mỹ.
Phát biểu trước khi bão đổ bộ, Tổng thống Mexico Pena Nieto cho biết ưu tiên trước hết của Chính phủ là bảo vệ tính mạng người dân. Khoảng 5.000 binh sỹ, 4.000 lính thủy và 400 cảnh sát liên bang đã được điều động đến khu vực này nhằm hỗ trợ việc sơ tán người dân và khách du lịch. Tính đến tối 23-10, hơn 50.000 người đã được sơ tán khỏi các khu vực nguy cơ cao trên phạm vi 3 bang, song vẫn còn hơn 400.000 người đang ở trong vùng ảnh hưởng của bão. Giới chức cũng đã cắt điện khắp các khu vực từ Puerto Vallarta đến Manzanillo nhằm tránh các sự cố đáng tiếc.
PHAN ANH